224-228-230 Mount Pleasant Street Brantford, Ontario N3T 1V1

Acreage

$9,999,900

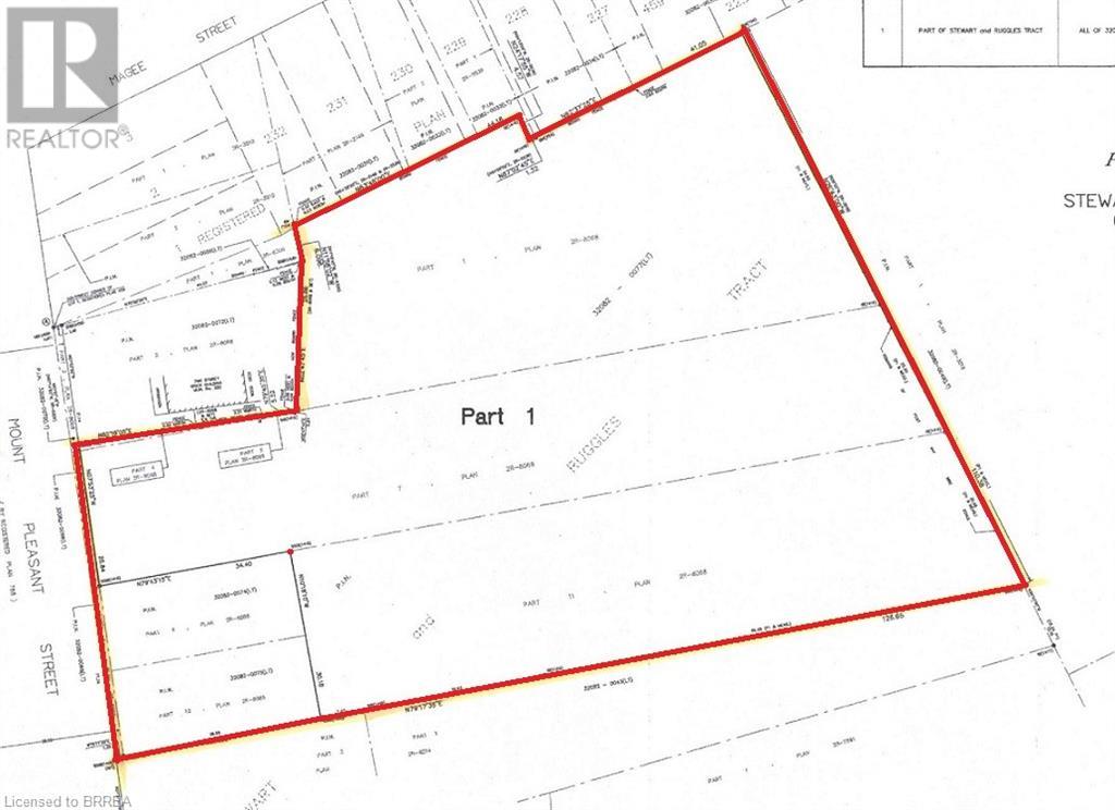
Attention builders/developers/investors! Here is your chance: 3.05 acres available for sale in the city of Brantford! Great development/redevelopment opportunity! Ideal site for future residential development: potential for low-rise or mid-rise apartment building(s) and/or townhouses/stack townhouses. Initial pre-consultation meetings with the city took place in 2021, 2022. The land is located in West Brant, in great residential area with multiple developments nearby. Close to schools, parks, picturesque Grand River & trails. Municipal services available at the road on Mount Pleasant St.: water/sewer/gas/hydro/tel/cable/ street lights. The land assembly consists of 3 adjacent properties with municipal addresses being 224, 228 and 230 Mount Pleasant Street, Brantford, all 3 must be purchased together. The combined land area is 3.05 acres & the combined frontage is 184.75 ft on Mount Pleasant St. Two of the properties have presently single family detached dwellings, the third one is a vacant lot.Current status of the 3 properties is as follows: 224 Mount Pleasant St.: single family residence on 2.79 acre lot; 228 Mount Pleasant St.: single family residence on 0.13 acre lot; 230 Mount Pleasant St.: 0.13 acre vacant lot. (note:existing houses & garage on properties to be removed by buyer). H.S.T. in addition to purchase price & to be paid by Buyer. Buyer to do his own due diligence. Note: there is no for sale sign on property. Please, don't walk to property without appointment. (id:51648)

Property Details

MLS® Number 40637623
Property Type Vacant Land
Amenities Near By Hospital, Public Transit, Schools
Features Visual Exposure

Building

Basement Type None
Utility Water Lake/river Water Intake, Municipal Water

Land

Access Type Road Access
Acreage Yes
Land Amenities Hospital, Public Transit, Schools
Sewer Municipal Sewage System
Size Frontage 185 Ft
Size Irregular 3.05
Size Total 3.05 Ac|2 - 4.99 Acres
Size Total Text 3.05 Ac|2 - 4.99 Acres
Zoning Description R1b, H-r1b-33, Os1-12

https://www.realtor.ca/real-estate/27333474/224-228-230-mount-pleasant-street-brantford

Contact Us

Contact us for more information

Generating Captcha

Bogdan Przednowek
Broker

(519) 770-2706

Realty Place Inc.
12 Southglen Road
Brantford, Ontario N3R 7A1

(519) 753-6000
www.realtyplace.ca/

Maria Przednowek
Broker of Record

(519) 865-8111

Realty Place Inc.
12 Southglen Road
Brantford, Ontario N3R 7A1

(519) 753-6000
www.realtyplace.ca/